Dévoilé en exclusivité par Echosondeurs.com dès le mois d’octobre, le Lowrance FishHunter 3D est une sonde sans fil avec beaucoup d’arguments. Lowrance se positionne sur ce marché dominé par le lituanien Deeper pour conquérir des parts de marché. Le produit existe en réalité depuis deux ans, Lowrance a acheté en août 2017 la société FishHunter et a ‘repackagé’ les produits avec sa propre charte graphique. Ce rachat permettra une meilleure distribution du produit, une évolutivité logicielle et un SAV sérieux.
Unboxing
La sonde FishHunter 3D est livrée avec une pochette bleue en simili cuir. On y trouve également un cordon d’alimentation USB, une notice ainsi qu’une cordelette mesurant environ 4m75. Cette cordelette est utile en bateau, kayak ou float tube pour laisser traîner la sonde.

Caractéristiques techniques et conception
- Poids: 184g (poids réel)
- Diamètre: 9.5cm
- Autonomie: 10h maximum
- GPS non intégré
- Capteur de température
- Cinq transducteurs intégrés (couverture maximale de 72°)
- Puissance: 300W RMS
- Profondeur min/max : 0.4m / 50m
- Connexion WiFi : portée de 45m
- LED pour pêche de nuit et indicateur de chargement
- Application disponible sur apple store et google play
- Cinq modes :
- Directional casting / Ice Fishing
- Fond en 3D
- Directional casting
- Carte Bathymétrique
- Cartographie 3D du fond
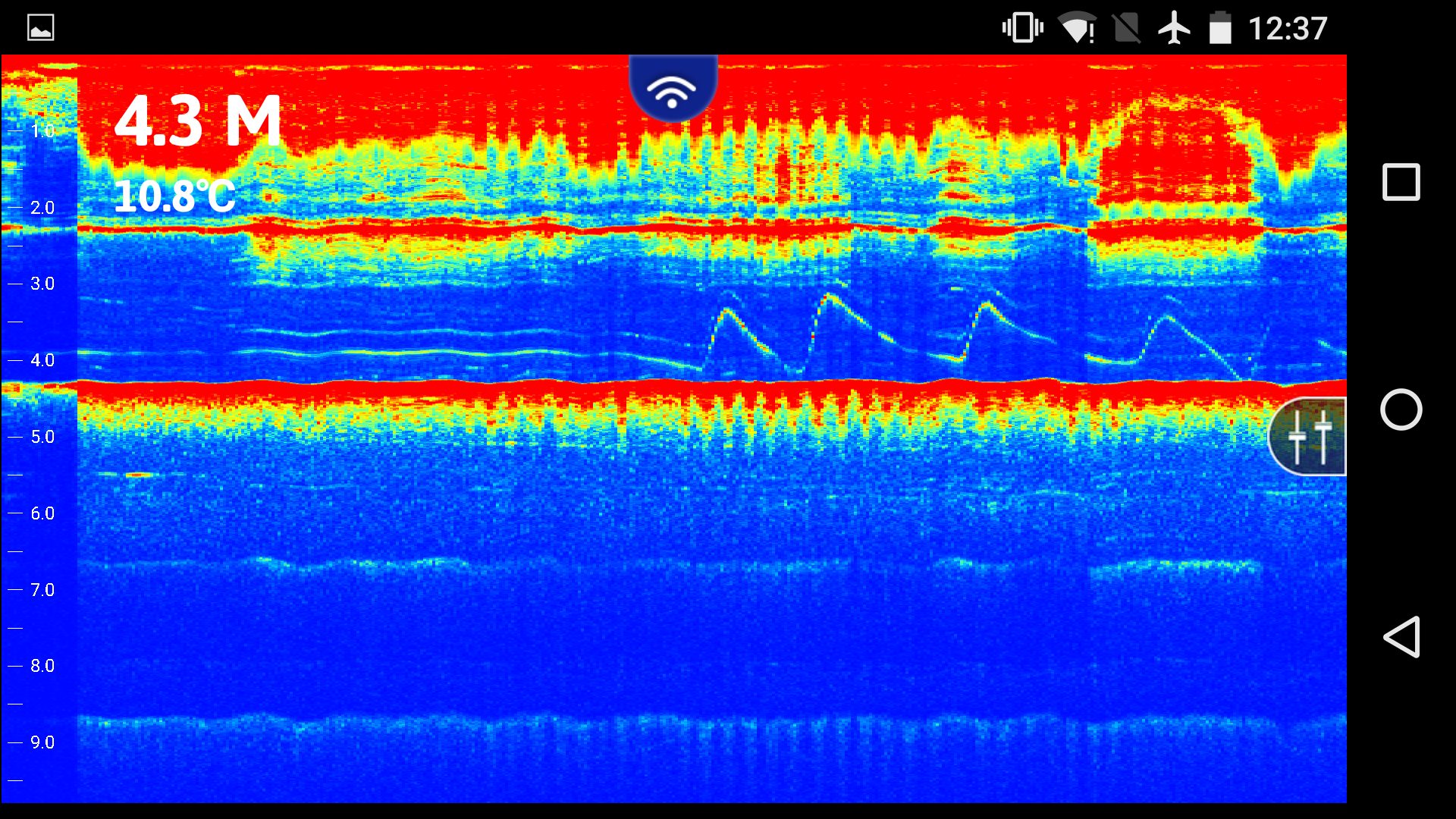
Le FishHunter 3D est muni de cinq transducteurs qui peuvent opérer sur trois fréquences (381KHz, 475KHz, 675KHz). La sonde règle elle même les fréquences utilisées. Quand le Deeper propose deux fréquences et donc deux angles pour chercher soit les poissons (angle large) soit les reliefs du fond (angle étroit), le FishHunter 3D n’offre pas ce choix car il fait les deux en même temps. Avec ses cinq transducteurs sa couverture totale est large de 72° mais chaque transducteur couvre individuellement une petite zone. L’avantage est double, on n’a plus besoin de choisir la fréquence et on peut (enfin) en mode primaire identifier dans quelle zone les poissons sont détectés (devant, derrière, gauche ou droite).
Mode Directional Casting
Ce mode est pour moi une avancée phare, il dépoussière le mode primaire 2D en corrigeant ses principaux défauts, pouvoir situer précisément un poisson vu à l’écran et minimiser les dead zones.
Sur cet écran vous visualisez en un coup d’œil la couverture des cinq transducteurs. Chaque rond vous indique la profondeur détectée par les cinq sondes. Si un poisson est détecté par une des sondes, cette dernière affiche en rouge la profondeur du poisson. En sélectionnant la sonde en question, vous pouvez passer en mode primaire pour avoir notamment plus de détail sur la taille du poisson.



Mode Fond en 3D
Ce mode est utile pour créer une représentation 3D temps réel des fonds. Grâce à ses cinq sondes simultanées, vous pouvez voir la différence de relief au sein de la zone couverte même à l’arrêt. Ci dessous un excellent exemple, j’ai passé ma sonde tout au long d’un quai de la seine, on voit parfaitement le relief des 3 premiers mètres à partir de la bordure. La représentation est quelque peu simplifiée mais cela donne un bon aperçu visuel des reliefs.

Mode Carte Bathymétrique
Ce mode vous permet de créer une carte bathymétrique en navigation. Vous accrochez votre FishHunter 3D derrière votre embarcation puis grâce au GPS de votre smartphone la carte bathymétrique de votre zone se créé automatiquement au fil de vos déplacements. Vous pouvez ajuster la puissance de la sonde (Power Slider) et régler l’échelle de couleur pour avoir une granularité fine ou large selon la profondeur.
Les « verticaliers » peuvent utiliser ce mode. En plus de créer votre carte bathymétrique vous pouvez afficher également le mode primaire pour détecter en temps réel les poissons et les fosses.
La carte vous affiche l’historique de vos dérives, cela se révèle utile pour refaire un passage sur une zone productive. Il est également possible de marquer des points GPS pour identifier une structure, des poissons,etc…


Mode Cartographie du fond
Ce mode permet de cartographier en 3D des surfaces plus petites. Il est exploitable aussi bien du bord qu’en embarcation. Pour avoir un résultat exploitable et compréhensible il faut tenir une trajectoire droite et une vitesse constante.

Du bord on indique la distance à laquelle on a envoyé la sonde puis on ramène la ligne à vitesse constante. En embarcation, il faut indiquer la vitesse de déplacement.
Cette cartographie 3D est conçue pour être consultée ‘à froid’, votre smartphone ne vous affiche pas la carto en temps réel, il faudra attendre la fin pour avoir accès à la modélisation 3D de votre spot. Sur cette modélisation 3D vous pouvez changer l’orientation, afficher plus ou moins de détails.

Ce mode est celui qui m’a le moins convaincu, le manque de GPS interne rend la fonctionnalité moins intéressante et approximative. J’aurais aimé sur l’application la possibilité de manipuler avec les doigts la cartographie 3D, attendons la sortie d’une mise à jour sur Android/App Store.
Conclusion
Lowrance nous propose un produit innovant avec une approche totalement différente de son principal concurrent. Les ingénieurs ont repensé le concept en partant d’une feuille vierge. Les amateurs de bidouillages devront se contenter de quelques options comme la puissance du signal, il n’est pas possible de toucher la sélection des fréquences, l’appareil gère lui même ses réglages.
Points positifs
- Le Directional Casting dépoussière complètement le mode primaire, on sait désormais où se situent les poissons.
- Les dead zones sont minimisées grâce aux cinq transducteurs.
- La visualisation en 3D temps réel des fonds n’est pas parfaite mais donne une bonne indication des différences de relief sous la sonde et du positionnement des poissons, c’est une belle avancée.
- Facile d’usage, les principaux réglages sont automatiques.
- Tarif accessible
Points négatifs
- Poids de la sonde
- Absence de GPS interne
- Imprécision du capteur de température
En point notable, j’ai relevé un écart de 2°c en trop sur la mesure de la température. Les profondeurs affichées sont cohérentes avec ce qu’indique Deeper au même endroit, le tout confirmé par une mesure manuelle.
Le poids de la sonde est assez conséquent, il faudra une canne puissante et un fil bien dimensionné pour propulser l’engin. Personnellement je pense que pour être efficace du bord, il faut de toute façon une canne dédiée aux sondes sans fil en plus de votre canne principale.
Finalement faut il mieux acheter un Deeper PRO+ ou un FishHunter 3D ? Ce sont deux appareils totalement différents. Le Deeper est calqué sur le fonctionnement des sondeurs classiques avec deux fréquences alors que le FishHunter propose une philosophie totalement différente en repensant l’imagerie primaire et en démocratisant la 3D. Le manque de GPS est selon nous rédhibitoire quand on achète un appareil à ce tarif.
Consultez le tarif du Lowrance FishHunter 3D

4 commentaires sur « Test et Avis Lowrance FishHunter 3D »